Page 6 of Agronomy
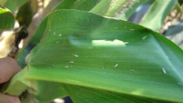
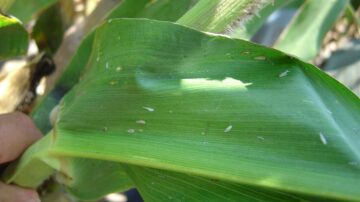
Corn Leafhopper Reemerging in Texas, Other States
Yield losses, potential red stunt disease cause growers concern
2024 Was A Wild Ride For Many Corn Farmers
AgriGold agronomists share how crops fared along with the big takeaways
What’s Hiding In A Corn Field
LG Seeds agronomist shares tips on avoiding yield-limiting nutrient deficiencies in corn
GROW Releases New Herbicide Resistance Resource for the Industry
As herbicide resistance spreads, so must education on what it is and how to manage it.









